La poliurea e il poliuretano per l’impermeabilizzazione e l’isolamento
Big Black Idra: la nuova tecnologia per impermeabilizzazione e isolamento. Provenza Spurghi investe nell’innovazione e amplia la propria offerta con Big Black Idra, la nuova…
Big Black Idra: la nuova tecnologia per impermeabilizzazione e isolamento. Provenza Spurghi investe nell’innovazione e amplia la propria offerta con Big Black Idra, la nuova…
In seguito all’importante diffusione del nuovo Coronavirus sul territorio italiano e alle recenti disposizioni del Governo per il contenimento del contagio, molte aziende, con l’intento…
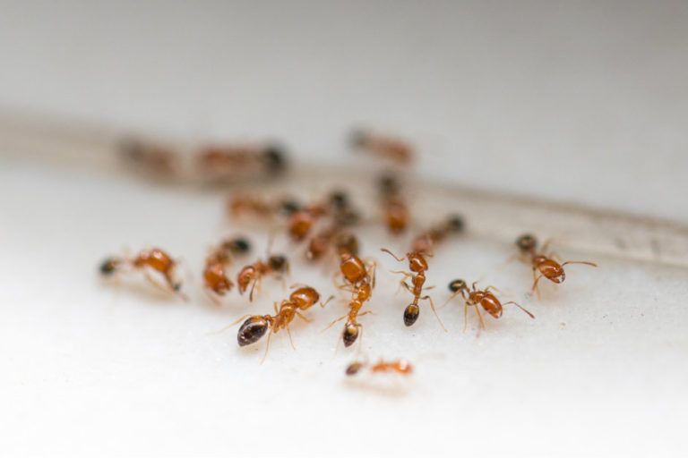
Le specie di formiche sono tantissime e tanti sono i luoghi in cui nidificano e agiscono.Come riconoscere e prevenire un infestazione di formiche?
Un’infestazione da pulci è molto pericolosa e fastidiosa, specialmente quando le pulci entrano in casa. Cosa fare per eliminare le pulci?
Tema caldo in questi ultimi mesi, ma sempre attuale: quali sono le cause dell’inquinamento del mare e cosa fare per ridurlo?
In materia di smaltimento rifiuti speciali liquidi esistono normative specifiche che, se non rispettate, comportano pesanti sanzioni.
Tra gli insetti infestanti che possiamo ritrovare in casa dobbiamo tener conto anche dei fastidiosi parassiti alimentari. Come eliminarli?
Le infestazioni di parassiti nei terreni agricoli sono frequenti e fastidiose, sia per chi coltiva i terreni per lavoro ma anche nei piccoli orti.
Tarli e termiti sono l’incubo di chi ha mobili in legno. Provocano fori e creano gallerie nel legno. Come eliminare tarli e termiti?
L’attenzione alle tematiche ambientali ha condotto a una riflessione che porta a prediligere l’installazione del wc nautico con serbatoio d’accumulo.
Combattere le infestazioni di topi e ratti in città è fondamentale per diverse ragioni. Ma mai affidarsi al fai da te, questi sono animali molto…
A prescindere da quanto sia nuova la propria abitazione, può succedere di ritrovarsi a combattere con il cattivo odore in casa. Cosa fare?
Il PDK rappresenta una scoperta rivoluzionaria: il futuro è il riciclaggio. Un materiale che a differenza degli altri è riutilizzabile al 100%.
Non bastavano mosche, zanzare e scarafaggi: a tormentare le tranquilli estate italiane è arrivata la cimice asiatica.
L’acqua è un bene prezioso, parte necessaria della vita di ognuno di noi, per questo capire se l’acqua che utilizziamo a casa è potabile è…
Che si parli di strutture abitative o di altro genere di edifici, garantire il corretto funzionamento degli impianti idrici e igienici è una condizione basilare…
Alle prime piogge invernali o durante gli acquazzoni estivi, ecco riproporsi il problema: allagamenti e strade bloccate. La causa? La mancata manutenzione delle caditoie. Per…
Eliminare lo sporco visibile non significa rendere un ambiente sicuro dal punto di vista della salute. Pulizia e sanificazione ambientale sono la stessa cosa? Ogni…
Zecche e animali domestici non sono affatto amici ed è importante evitare che vengano a contatto non solo nelle stagioni estive, ma tutto l’anno. Zecche…
L’allaccio della fognatura è uno degli step fondamentali da affrontare quando si progetta una nuova casa. Gli allacci fognari sono infatti i condotti che uniscono…
Quando non hai la possibilità di utilizzare un bagno classico, un buon compromesso è costituito dai bagni chimici, che hanno la comodità di poter essere…
Lasciamo un attimo da parte l’acqua potabile imbottigliata, opportunamente e accuratamente trattata e torniamo a quando eravamo bambini: perché mamme e nonne ci dicevano di…
L’arrivo della bella stagione porta con sé la voglia di uscire da casa e trascorrere più tempo in giardino, lavorando o riposando al sole, magari…
Cosa sono le colonne di scarico? Una delle componenti dell’impianto di scarico, ovvero tubazioni verticali che raccolgono liquami dalle diramazioni dei tubi e li convogliano…
Arriva la bella stagione e, insieme alla necessità di tenere aperte le finestre per rinfrescare l’ambiente, puntuali come ogni anno arrivano loro: le mosche.
Come individuare un’infestazione di formiche? E come liberarsene? I metodi fai da te, casalinghi, a volte non bastano. Tamponano il problema senza arrivare alla radice:…
Ogni giorno, senza accorgersene, ogni famiglia mette in atto dei comportamenti che fanno sprecare uno dei beni più preziosi di cui siamo in possesso: l’acqua.
La pulizia delle cisterne d’acqua è un’azione che non va presa con superficialità, ma, anzi, richiede la massima attenzione, affinché non si incorra nella proliferazione…
Non è una condizione a noi estranea, poiché le infezioni dei batteri aerobi del gruppo Legionella possono insinuarsi in qualsiasi superficie d’acqua, dai tubi del…
Con l’arrivo della bella stagione e l’aumento delle temperature si ripresentano puntuali insetti e parassiti che infestano la nostra casa, ma anche in inverno bisogna…
Un nido di vespe nei pressi della propria abitazione non è mai una buona notizia: è importante effettuare la rimozione il prima possibile per evitare…
Manutenzione e controllo dell’impianto di scarico: quanto è importante? E quali sono i problemi più comuni dell’impianto di scarico? Per impianto di scarico si fa…
Una fossa biologica intasata diventa un bel problema per la famiglia o per l’intero condominio che usufruisce delle fognature statiche. Per evitare che la fossa…
Le fognature cittadine rappresentano il luogo in cui vanno a confluire gli scarichi domestici dei residenti e purtroppo molti sottovalutano la manutenzione delle stesse. Abitualmente,…
I topi rappresentano infatti una delle più diffuse fobie nel genere umano. Ma al netto di tutto ciò, sono universalmente riconosciuti come portatori di…
Svolgere un intervento di sanificazione ambientale è una delle abitudini più idonee per preservare la salubrità di un dato luogo. Purtroppo, però, su questo tipo…
Provenza Spurghi sarà presente alla ventiduesima edizione di Ecomondo, una delle più importanti fiere internazionali del settore. Ecomondo è una fiera leader della green e…
Si tratta del punto di scarico più importante per le abitazioni, ma talvolta viene trascurato provocando non pochi disagi: il pozzo nero è la cisterna…
Il sistema idraulico di ogni casa è costituito da una complessa rete di scarichi e condotti. Può capitare, specie se la casa è vecchia, che…
Lo smaltimento dei rifiuti è uno degli argomenti che ha portato alle più grandi discussioni relative all’ambiente negli ultimi anni. L’Italia, difatti, lamenta non poche…
L’invasione delle pulci è uno dei pericoli più temuti (e sottovalutati) in tutte le case. Imbattersi in questi piccoli insettini è infatti un’evenienza molto frequente,…
Le blatte, comunemente conosciute come scarafaggi, sono alcuni fra gli insetti più antichi presenti sulla faccia della terra. Nonostante però “convivano” con l’uomo ormai da…
L’impianto fognario costituisce uno degli elementi fondamentali per l’abitabilità di ogni struttura, che si tratti di case private, alberghi, locali commerciali o impianti industriali. Ma…
Conosciuta come zecca del piccione, il nome del parassita è in realtà l’Argas relexus, somiglia molto alle zecche del cane, ma si nutrono in maniera differente.…
Il sistema Canal-jet è ideale in caso di ostruzioni, ingorghi fognari o semplicemente per la manutenzione ordinaria agli impianti di scarico. Di cosa si tratta?…
La specie di cimici più conosciuta è senza dubbio la cimice dei letti, detta anche del materasso. Si tratta di piccoli insetti noti per la…
Fra tutte le specie di insetti presenti in natura, le zanzare vengono comunemente considerate le più fastidiose. Il loro ronzio e le loro punture infestano…
Cosa è in grado di rilevare la video ispezione fognaria? Grazie al sistema di micro-camere, la video ispezione consente di individuare fratture e intasamenti delle…
Le blatte sono decisamente ospiti indesiderati: come evitare o risolvere le infestazioni? Più comunemente dette scarafaggi, trovano rifugio principalmente nei luoghi sporchi e umidi, anche…
La derattizzazione è l’insieme degli interventi di disinfestazione che mirano a debellare completamente o comunque a ridurre considerevolmente la presenza di topi e ratti in…
Anche detta fossa settica convenzionale, la fossa biologica è una fognatura di tipo statico generalmente impiegata nei condomini, nei gruppi isolati di abitazioni e in…
Salire sulla sedia, urlare e agitare manici di scopa e bastoni sono metodi tradizionali ma non proprio sufficienti per liberarsi definitivamente di topi, scarafaggi o…
| Cookie | Durata | Descrizione |
|---|---|---|
| cookielawinfo-checbox-analytics | 11 months | This cookie is set by GDPR Cookie Consent plugin. The cookie is used to store the user consent for the cookies in the category "Analytics". |
| cookielawinfo-checbox-functional | 11 months | The cookie is set by GDPR cookie consent to record the user consent for the cookies in the category "Functional". |
| cookielawinfo-checbox-others | 11 months | This cookie is set by GDPR Cookie Consent plugin. The cookie is used to store the user consent for the cookies in the category "Other. |
| cookielawinfo-checkbox-necessary | 11 months | This cookie is set by GDPR Cookie Consent plugin. The cookies is used to store the user consent for the cookies in the category "Necessary". |
| cookielawinfo-checkbox-performance | 11 months | This cookie is set by GDPR Cookie Consent plugin. The cookie is used to store the user consent for the cookies in the category "Performance". |
| viewed_cookie_policy | 11 months | The cookie is set by the GDPR Cookie Consent plugin and is used to store whether or not user has consented to the use of cookies. It does not store any personal data. |